1月9日,中国科学院大气物理研究所、国家气象信息中心、国家卫星气象中心、国家海洋环境预报中心、自然资源部第二海洋研究所、中国科学院海洋研究所、中国科学院计算机网络信息中心、美国国家海洋和大气管理局、美国国家大气研究中心、法国墨卡托海洋国际研究所、意大利国家研究委员会海洋科学研究所等全球31个研究单位的55位科学家组成的国际研究团队,在《ADVANCES IN ATMOSPHERIC SCIENCES》(AAS)发布了2025年全球海温变化的研究报告。报告表明,2025年全球海洋上层2000米热含量(OHC)已连续9年刷新有观测记录以来的最高值;同时,全球平均海表温度(SST)位居历史第三高位,全球变暖趋势十分明确。
海洋吸收了人类活动引起的地球系统增暖中超过90%的热量,是衡量全球变暖最稳定、最可靠的指标之一。2025年全球海洋上层2000米热含量再度创下历史新高,延续了近九年来逐年破纪录的特征。据中国科学院大气物理研究所(IAP)数据显示,2025年上层2000米海洋热含量比2024年增加了23 ± 8 ZJ(1 ZJ = 1021焦耳)。以2023年全球的一次能源消耗(人类从煤、油、气、核能和可再生能源中获取的能量总和)水平核算,增加的23 ZJ热量相当于约37年的全球能源消耗总量。其余来自意大利、美国、欧盟的3套国际数据集结果均显示出一致的海洋增暖态势(包括意大利国家研究委员会海洋科学研究所CIGAR-RT数据集、美国海洋和大气管理局国家海洋信息中心NCEI/NOAA数据集、欧盟哥白尼海洋监测中心Copernicus Marine数据集)。
此外,自上世纪90年代以来,海洋的增暖速率明显增强,尤其是在 2005年之后,得益于 Argo 浮标观测系统的全面部署,近二十年来海洋热含量的测算具有更高的可靠性。结果表明1960–2025年间,海洋增暖的速率约为0.14 ± 0.03 W m⁻² dec⁻¹(dec⁻¹为每十年),而在2005–2025年期间,海洋增暖的速率增至0.32 ± 0.14 W m⁻² dec⁻¹。该报告进一步揭示出全球海洋变暖呈现显著的区域差异:2025年,全球海洋57%的海域的热含量达到了其历史前五水平,主要集中在南大洋、北印度洋、热带和南大西洋以及地中海等关键海区。

图1.全球海洋上层2000米热含量(OHC)变化时间序列,异常值相对于 1981–2010 年平均气候态定义。
2025年,全球平均海表温度(SST)相较2024年略有回落,但仍位居历史第三的高位,这一变化主要受到拉尼娜事件的影响,海洋热量从近表层向次表层输送,导致海洋近表层偏冷而次表层偏暖。国内外数据集均显示:2025年SST较1981-2010年平均态升高了~0.5°C,较2024年降低了~0.1°C。此次SST评估使用了多套中国自主发展的观测数据产品,包括中国科学院大气物理研究所的1米水深温度数据(IAP/CAS)、中国气象局国家气象信息中心的SST重构数据(CMA-SST)、国家卫星气象中心基于风云三号(FY-3)卫星反演的SST 数据(FY3-SST)。

图2.全球平均海表温度(SST)变化时间序列,异常值相对于 1981–2010 年平均气候态定义。

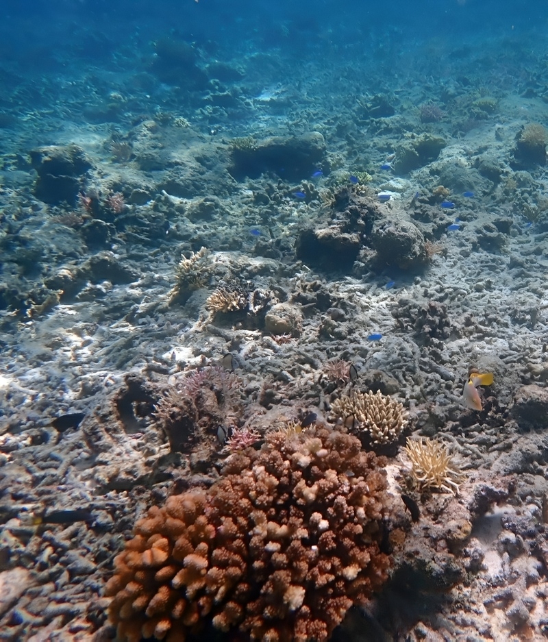
图3 菲律宾巴拉望的珊瑚礁白化现象(摄影:朱江)
海洋持续变暖已对海洋生态系统和人类社会造成深远影响。例如,更暖以及层化更强的海洋降低了海水中的溶解氧含量,增加了海洋热浪和珊瑚白化风险,进而加剧了对渔业、海洋生态系统稳定性及沿海地区可持续发展的压力。与此同时,新增的 23 ZJ 海洋热含量通过热膨胀效应,对全球平均海平面上升贡献了约2.49毫米,并与冰川和冰盖融水叠加,推升了全球海平面,显著加剧了沿海低洼地区和海岸基础设施面临的风险。这些变化共同表明,在持续的地球系统能量不平衡驱动背景下,海洋变暖已成为全球极端气候与灾害风险加剧的重要影响因素。
本研究得到了国家重点研发计划(2023YFF0806500)、中国科学院国际伙伴计划(060GJHZ2024064MI)、中国科学院-意大利研究理事会合作项目、国家重大科技基础设施项目“地球系统数值模拟装置”等支持。大气所海温数据使用了多套海洋观测数据集,包括全球WOD(World Ocean Database,世界海洋数据库)、CODC(CAS-Oceanographic Data Center, Global Ocean Science Database;中国科学院海洋科学数据中心全球海洋科学数据集)和GTSPP(Global Temperature and Salinity Profile Programme;全球温度与盐度剖面计划)数据集、以及自然资源部第二海洋研究所Argo野外站提供的经质量再控制的全球实时Argo数据集。本研究中相关计算使用中国科学院计算机网络信息中心与大气物理研究所共同研发的海洋观测数据处理软件包,并在国产“东方”超级计算系统上完成;相关观测数据的收集整编得到中国科学院海洋科学数据中心的支持。
论文作者团队包括:中国科学院大气物理研究所潘玉莹(第一作者)、成里京(通讯作者)、朱江、郑飞、Viktor Gouretski、杜娟、朱雨静、魏旺栩、宋欣燚;美国圣-托马斯大学John Abraham;美国国家大气研究中心Kevin E. Trenberth、John Fasullo;美国宾夕法尼亚大学Michael E. Mann;美国国家海洋和大气管理局国家环境信息中心团队 Ricardo Locarnini、Alexey Mishonov、James Reagan、Boyin Huang;Xungang Yin、Zhankun Wang;美国Stripe公司Zeke Hausfather;印度尼西亚国家研究与创新署气候与大气研究中心Albertus Sulaiman;中国科学院海洋研究所王凡、李元龙、张斌;国家海洋环境预报中心于福江、万莉颖、陈幸荣、王大奎、冯立成、刘旭;河海大学宋翔洲;中国科学院计算机网络信息中心原惠峰;国家海洋信息中心刘玉龙;意大利国立地球物理与火山学研究所Simona Simoncelli、Franco Reseghetti;意大利国家研究委员会海洋科学研究所Andrea Storto、Chunxue Yang;中国科学院南海海洋研究所陈更新、张荣望;法国墨卡托海洋国际研究所 Karina von Schuckmann、Flora Gues;北卡罗来纳州立大学 Garrett Graham;生态环境部珠江流域南海海域生态环境监督管理局李冠城;欧洲中期天气预报中心 Michael Mayer;国家气象信息中心曹丽娟、陈丽凡;自然资源部第二海洋研究所刘增宏;国家卫星气象中心张淼、陈林;厦门大学吕柯伟;国防科技大学王辉赞、马占宏、鲍森亮、闫恒乾;巴黎高等师范学院谭哲韬。
论文:
Pan, Y., L. Cheng*, J. Abraham, K. E. Trenberth, J. Reagan, J. Du, Z. Wang, A. Storto, K. von Schuckmann, Y. Zhu, M. E. Mann, J. Zhu, F. Wang, F. Yu, R. Locarnini, J. Fasullo, B. Huang, G. Graham, X. Yin, V. Gouretski, F. Zheng, Y. Li, B. Zhang, L. Wan, X. Chen, D. Wang, L. Feng, X. Song, Y. Liu, F. Reseghetti, S. Simoncelli, G. Chen, R. Zhang, A. Mishonov, W. Wei, Z. Tan, G. Li, L. Cao, L. Chen, H. Yuan, K. Lyu, A. Sulaiman, M. Mayer, H. Wang, Z. Ma, S. Bao, H. Yan, Z. Liu, C. Yang, X. Liu, Z. Hausfather, F. Gues, X. Song, M. Zhang, L. Chen: 2026: Ocean Heat Content Sets Another Record in 2025. Advances in Atmospheric Sciences, https://doi.org/10.1007/s00376-026-5876-0

一幅白化的珊瑚礁,构成了神话中水下王国倾颓的宫殿,而传说中的“虾兵蟹将”正面临一场现代危机:海洋变暖与酸化正在侵蚀它们赖以生存的“盔甲”。封面创意及虾蟹卡通形象由成里京提出,背景白化珊瑚照片由朱江摄于菲律宾巴拉望。